novidades

noticias

Publicada: 16/12/2013

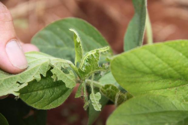
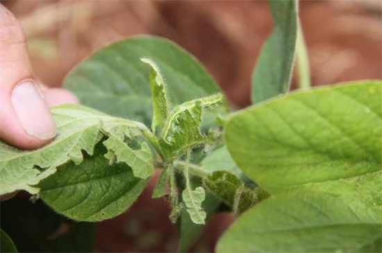
Cautela é a melhor arma contra a Helicoverpa armigera

segunda-feira, 16 de dezembro de 2013

A presença da Helicoverpa armigera no Estado está levando ao campo um batalhão de agrônomos e outros profissionais ligados a questões fitossanitárias, agora que a lagarta foi detectada em mais nove cidades. Hoje, por exemplo, começam a pegar a estrada rumo ao Interior cerca de 30 servidores só da Secretaria Estadual da Agricultura. Eles seguem para as principais regiões produtoras de soja, onde participarão de encontros com produtores, sindicatos rurais e outras entidades. O trabalho é basicamente falar, falar e falar, repetindo exaustivamente qual é a melhor forma de combater a praga: monitorar e só usar inseticida na forma e nos casos recomendados.

Conversar para esclarecer o sojicultor sobre o uso de inseticida, por sinal, será uma estratégia cada vez mais necessária. Concluído ontem pelo pesquisador Jerson Guedes, da Universidade Federal de Santa Maria (UFSM), o relatório das novas análises de amostras de mariposas recolhidas em armadilhas espalhadas por lavouras gaúchas será encaminhado hoje para o Ministério da Agricultura

— O resultado deu positivo para mais nove cidades — antecipa o pesquisador, que já confirmou a presença da mariposa da Helicoverpa armigera em 15 cidades gaúchas entre as 47 monitoradas no Rio Grande do Sul.

Diretor de defesa vegetal da Secretaria Estadual da Agricultura, José Candido Motta passou a última semana circulando por diferentes municípios gaúchos e avalia que o produtor gaúcho, em geral, tem seguido o que é recomendado pelos técnicos.

— Estamos nos reunindo com o máximo de produtores para deixar claro que, com monitoramento e atenção às indicações técnicas, a praga é plenamente controlável. Não estamos em situação preocupante. A lagarta se desenvolveu em outras regiões do país por condições que não ocorrem aqui. O uso de inseticida não é solução. Tanto que, mesmo onde foi autorizado o benzoato de emamectina, o produto não foi utilizado. Pelo menos não há registro, até agora, de nenhuma compra legalizada do produto — avalia Motta.

O representante do Estado ressalta, ainda, que ao longo da semana viu exemplos práticos de com seguir o que dizem os técnicos é a melhor forma de combater a lagarta:

— Há produtor que seguiu as orientações, fez uso correto do inseticida e resolveu o caso. Já o vizinho que dobrou a dose e aplicou sem cuidado piorou a situação, acabando com o predador natural da lagarta.

Quem também percorreu o Estado de leste a oeste com a caravana contra a lagarta, na semana passada, foi o entomologista Paulo Pereira, da Embrapa Trigo, de Passo Fundo. Ao contrário do diretor de defesa vegetal do governo do Estado, ele avalia que o produtor tem utilizado inseticidas demais e na hora errada.

— Tem gente fazendo coisas absurdas. O produtor tem que ter calma. Alguns mal ficaram sabendo da presença da lagarta no Estado e já saíram aplicando inseticidas. Alguns, em pânico, estão tomando decisões irracionais. Também há estímulo por vendedores. Ao serem procurados, claro, querem oferecer uma solução. E, com o produtor assustado, a oferta de inseticida é feita e aceita, erradamente — alerta Pereira.

Fonte: Campo e Lavoura